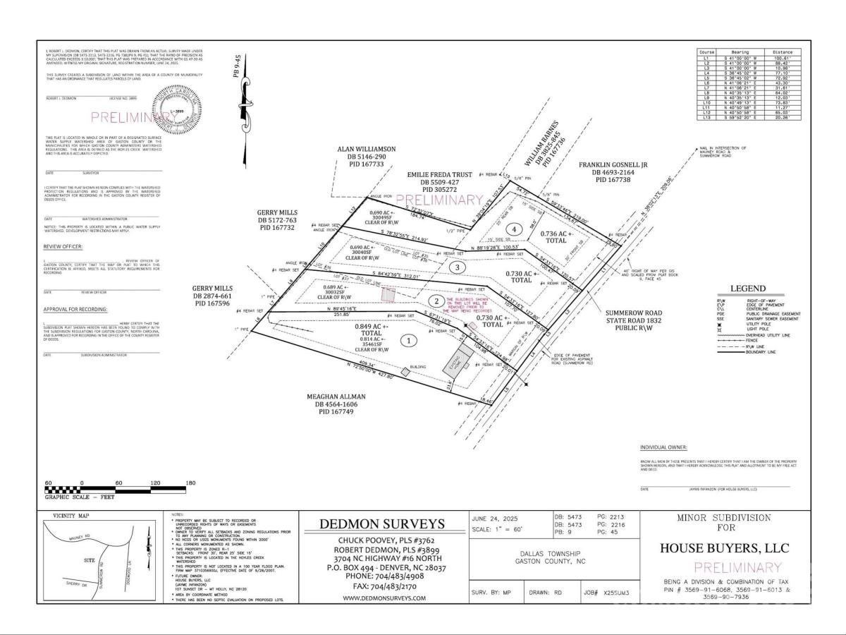
This listing is actually for three subdivided lots. Buildable. Needs septic & well. The three lots have been PERKED, and you can build three seperate; 4-bedroom homes. As a package deal you can also purchase a house next to this lot for additional $187,900. An additional to this listing price for three lots. TWO OF THESE LOTS ARE 0.730 ACRES. NICE FLAT LOTS. THIRD LOT IS 0.736 ACRES. Survey available and in photos. Perk test done, report soon available, 4 bedroom homes. Homes in high demand in area. Close to downtown Stanley. Nice street nice neighborhood. Permits for well, & septic tank have been paid for, transferable, good for five years. Some of the lot is cleared.
Property Details
Schools
Interior
Exterior
Financial
The mission of Dupont Real Estate is to provide professional representation to buyers and sellers in their real estate transactions to make the emotional and important transaction into a pleasant and smooth experience. We have over 40 years of combined business and real estate-related experience. We are full of energy, love challenges, and take pride in meeting all our clients’ time constraints. The proof of our success is the number of past clients who are the foundation of our business. Ou…
More About FrancineMortgage Calculator
Map
Community
- Address520 Summerow Road Stanley NC
- SubdivisionNone
- CityStanley
- CountyGaston
- Zip Code28164
Subdivisions in Stanley
- Autumn Brook
- Bennington Creek
- Brookwood
- Carmel Woods
- Carrington
- Chestnut Ridge
- Cowans Ford
- Cowans Ford Country Club
- Cowans Ford Park
- Craig Heights
- Creekwalk
- Farmwood Acres
- Forest Ridge
- Gates At Waterside
- Harper Landing
- Highgrove Estates
- Hunters Oak
- Keever Estates
- Laurel Park
- Lowesville
- Lowesville Square
- Murphy Heights
- Oakmont
- Shadow Oaks
- Shady Oaks
- Sifford Farms
- Smith Acres
- Southpark
- Springfield
- Stonewall Jackson Park
- Summer Ridge
- Summerrow Estates
- The Gates
- Treetops At Cowans Ford
- West Stanley Park
- Woodhurst
Similar Listings Nearby
Property Summary
- Located in the None subdivision, 520 Summerow Road Stanley NC is a Single Family for sale in Stanley, NC, 28164. It is listed for $179,900 and features 3 beds, 2 baths, and has approximately 1,150 square feet of living space.The current price per square foot is $156. The average price per square foot for Single Family listings in Stanley is $210. The average listing price for Single Family in Stanley is $461,295. To schedule a showing of MLS#car4278052 at 520 Summerow Road in Stanley, NC, contact your Dupont Real Estate agent at 704-506-8816.

This listing is actually for three subdivided lots. Buildable. Needs septic & well. The three lots have been PERKED, and you can build three seperate; 4-bedroom homes. As a package deal you can also purchase a house next to this lot for additional $187,900. An additional to this listing price for three lots. TWO OF THESE LOTS ARE 0.730 ACRES. NICE FLAT LOTS. THIRD LOT IS 0.736 ACRES. Survey available and in photos. Perk test done, report soon available, 4 bedroom homes. Homes in high demand in area. Close to downtown Stanley. Nice street nice neighborhood. Permits for well, & septic tank have been paid for, transferable, good for five years. Some of the lot is cleared.
Property Details
Schools
Interior
Exterior
Financial
The mission of Dupont Real Estate is to provide professional representation to buyers and sellers in their real estate transactions to make the emotional and important transaction into a pleasant and smooth experience. We have over 40 years of combined business and real estate-related experience. We are full of energy, love challenges, and take pride in meeting all our clients’ time constraints. The proof of our success is the number of past clients who are the foundation of our business. Ou…
More About FrancineMortgage Calculator
Map
Community
- Address520 Summerow Road Stanley NC
- SubdivisionNone
- CityStanley
- CountyGaston
- Zip Code28164
Subdivisions in Stanley
- Autumn Brook
- Bennington Creek
- Brookwood
- Carmel Woods
- Carrington
- Chestnut Ridge
- Cowans Ford
- Cowans Ford Country Club
- Cowans Ford Park
- Craig Heights
- Creekwalk
- Farmwood Acres
- Forest Ridge
- Gates At Waterside
- Harper Landing
- Highgrove Estates
- Hunters Oak
- Keever Estates
- Laurel Park
- Lowesville
- Lowesville Square
- Murphy Heights
- Oakmont
- Shadow Oaks
- Shady Oaks
- Sifford Farms
- Smith Acres
- Southpark
- Springfield
- Stonewall Jackson Park
- Summer Ridge
- Summerrow Estates
- The Gates
- Treetops At Cowans Ford
- West Stanley Park
- Woodhurst
Similar Listings Nearby
Property Summary
- Located in the None subdivision, 520 Summerow Road Stanley NC is a Land for sale in Stanley, NC, 28164. It is listed for $217,700 and features 2 acres. To schedule a showing of MLS#car4278059 at 520 Summerow Road in Stanley, NC, contact your Dupont Real Estate agent at 704-506-8816.

